天神二丁目(3期)3号地

2,290万円

福岡県北九州市戸畑区天神2丁目8-18

鹿児島本線「九州工大前」駅徒歩10分

鹿児島本線「戸畑」駅徒歩23分

筑豊本線「若松」駅徒歩50分

価格
2,290万円
土地面積(坪数)
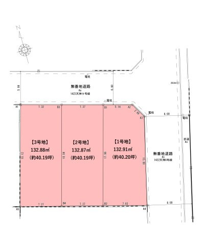
132.88㎡(40.19坪)
所在地
福岡県北九州市戸畑区天神2丁目8-18
築年
-(-)
駐車
-
交通

鹿児島本線九州工大前」駅 徒歩10分

鹿児島本線戸畑」駅 徒歩23分

筑豊本線若松」駅 徒歩50分

天神二丁目(3期)3号地の基本情報

物件名
天神二丁目(3期)3号地
価格
2,290万円
土地面積
132.88㎡
築年月
-(-)
総区画数
3区画
所在地
福岡県北九州市戸畑区天神2丁目8-18
交通

鹿児島本線九州工大前」駅 徒歩10分

鹿児島本線戸畑」駅 徒歩23分

筑豊本線若松」駅 徒歩50分

天神二丁目(3期)3号地の詳細情報

設備条件
設備(その他)
    -
駐車場/月額
-/-
土地権利
所有権
国土法届出
不要
用途地域
第一種住居
区画数
3区画 / 3戸
管理形態
-
管理員の勤務形態
-
管理会社
-
取引態様
仲介
引渡し
相談
開発許可番号
-

天神二丁目(3期)3号地で募集中の物件

  1. 3号地

    40.19坪 (132.88㎡)

    2,290万円(56.98万円/坪)

周辺施設

  • 北九州市立飛幡中学校の画像

    中学校

    北九州市立飛幡中学校

    448m(6分)

  • 北九州市戸畑区役所の画像

    市役所・区役所

    北九州市戸畑区役所

    939m(12分)

  • イオン戸畑店(イオン戸畑ショッピングセンター)の画像

    スーパー

    イオン戸畑店(イオン戸畑ショッピングセンター)

    1832m(23分)

近隣の物件

  1. 北九州市戸畑区境川2丁目

    - (130.73㎡)

    2,190万円

よく見られている物件

  1. 北九州市八幡西区則松3丁目

    - (182.16㎡)

    1,710万円

  2. 北九州市八幡東区祝町2丁目

    - (557.77㎡)

    6,440万円

  3. 北九州市八幡東区祝町2丁目

    - (175.21㎡)

    2,280万円

  4. 北九州市八幡東区祝町2丁目

    - (186.84㎡)

    1,980万円

天神二丁目(3期)3号地

お気軽にお問い合わせください

無料お問い合わせ

ひなたエステート 株式会社 本店

093-383-2390

-

(休:-)